トンネル防災本管劣化診断装置(パイプミエールi)

本システムは、株式会社ネクスコ・エンジニアリング新潟と共同開発を行いました。

トンネル内に埋設された防災本管を、開削せずに超音波技術を用いて劣化度を診断する装置です。

装置構成

測定原理

水を満たした防災本管内部に超音波センサを挿入して管中心部より超音波を発信し、各層の反射エコーを検出して鋳鉄厚さを算出します。管中心部に配置された超音波センサは、回転しながら管軸方方向に移動することにより、移動範囲全長に渡り管全周の鋳鉄厚さを測定することができます。
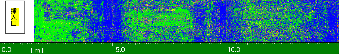
取得した測定データは、パターン認識技術を用いたソフトウェアにより解析して板厚を自動判定し、管厚マップを作成します。

測定状況

超音波センサを内蔵した機構部は管内に挿入され、コンプレッサー圧で開脚することにより超音波センサが管中心部に配置されます。その後、センサ部を回転させながら約50mを1区間として一定速度でケーブルを巻取り、管厚データを採取します。

全景

挿入口

機構部

全景

挿入口

機構部